売買物件を探す
旗竿地の魅力はこだわりに有り!!
物件概要
- 価格
- 820万円
- タイプ
- 【売地】売地 / -
- 間取り
- -
- 築年数
- 1968/1/20
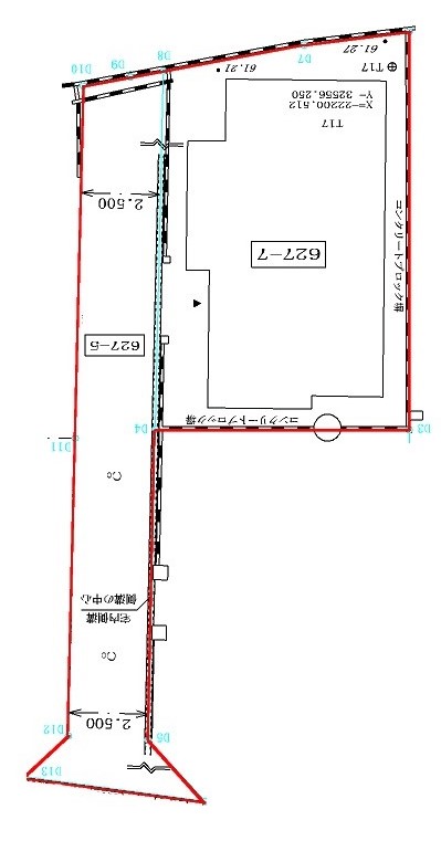
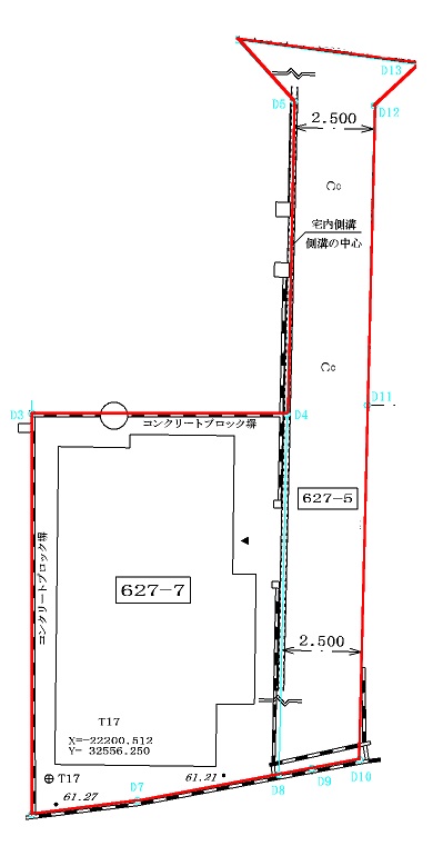
- 敷地面積
- 152.18㎡
- 所在地
- 長崎県 長崎市 岩屋町
- 交通
- バス 工業高校前 徒歩8分
- YouTube
- -
物件詳細
- 建物名(物件名)
- 長崎工業高校裏
- 部屋番号/区画番号
- -
- 価格
- 820万円
- 敷金
- -
- 管理費
- -
- 修繕積立費
- -
- 駐車場
- -
- 借地料
- -
- 敷地面積
- 152.18㎡
- 土地面積計測方式
- 公簿
- 土地権利
- -
- 地目
- 宅地
- 地勢
- 平坦
- セットバック
- -
- 接道1
- 北側 幅員4mの公道に5.6m接する
- 接道2
- -
- 建物構造
- 木造
- 築年月
- 1968/1/20
- 専有面積
- -
- 建物面積計測方式
- -
- 延床面積
- 75.74㎡
- バルコニー面積
- -
- 都市計画
- 市街化区域
- 用途地域
- 第一種中高層住居専用地域
- 建ぺい率
- 60%
- 容積率
- 200%
- 表面利回り
- -
- 現行利回り
- -
- 通学校区
-
西北小学校
岩屋中学校 - 現況
- 古屋あり
- 引渡/入居時期
- 相談
- 取引態様
- 専任
- 物件公開日
- 2026年2月28日
- 次回更新予定日
- 2026年3月28日
場所は長崎市岩屋町。
長崎工業高校裏門から徒歩約3秒!!
裏門を出て、約4mの道路を渡ると到着です![]()
そしてタイトルの通り、この土地は旗竿地です(有効面積は約35坪)。
旗竿地とは、旗とそれを掲げる竿のような形状の土地のことです。
写真で比較すると納得!
不思議な形だなぁ~とお思いの方も多いはず!
但し、この形には大事な意味があるんです。
そもそも建物を建てる場合、
その土地が道路(諸条件有)に2m以上接していなければなりません。
もしその土地が道路に接していなければ、
建物を建てることが出来ず、土地の価値が大幅に低くなってしまいます![]()
そして、このように少し特殊な形状ですので、
ハウスメーカーによってはお家を建てるのが難しい場合があります。
また、竿の部分には建物を建てられないしもったいない。という理由で敬遠される事も…
でも、ちょっとまって!
建物を建てられないということは、そこを車庫にすれば有効活用できますね![]()
ちなみに現状で2台~3台は停められます。
また、建物は道路とは離れた位置に建てるので、
お子様が玄関を飛び出して車道に![]()
![]()
という危険がずいぶん軽減できます![]()
そして、旗竿地や狭小地などの「特殊な土地」は、
規格化された家では対応できないので、設計士の腕の見せ所なんです。
採光や通風だけを見ても、周囲の環境を充分に理解した上で臨まなくてはなりません。
ですので、様々な事を考えながら、設計士との綿密な打ち合わせが大切です。
せっかくの大きな買い物ですので、
旗竿地で『こだわりの家』を建ててみませんか?
周辺環境
・長崎市立西北小学校 約700m 徒歩約10分
・長崎市立岩屋中学校 約280m 徒歩約4分
・長崎県立長崎高等学校 約5m 徒歩約3秒
・虹が丘病院 約900m 車で約5分
・ローソン 長崎岩屋町店 約700m 車で約5分
・西友 道の尾店 約850m 車で約7分


